Bell Pharmacy

Bell

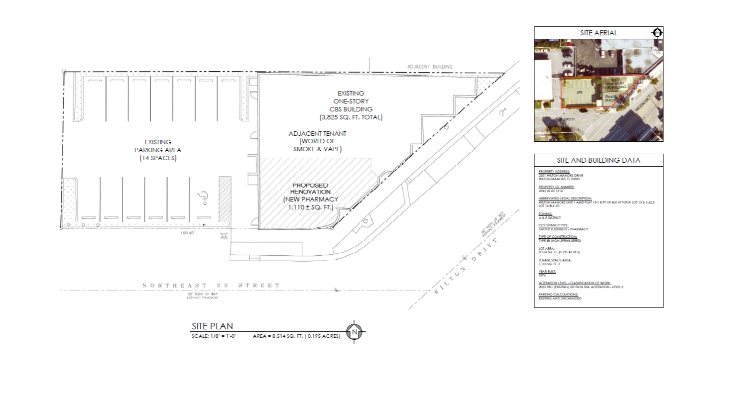
A retail pharmacy and medical clinic is proposed to be located in an existing commercial building to be located at 2201 Wilton Drive.