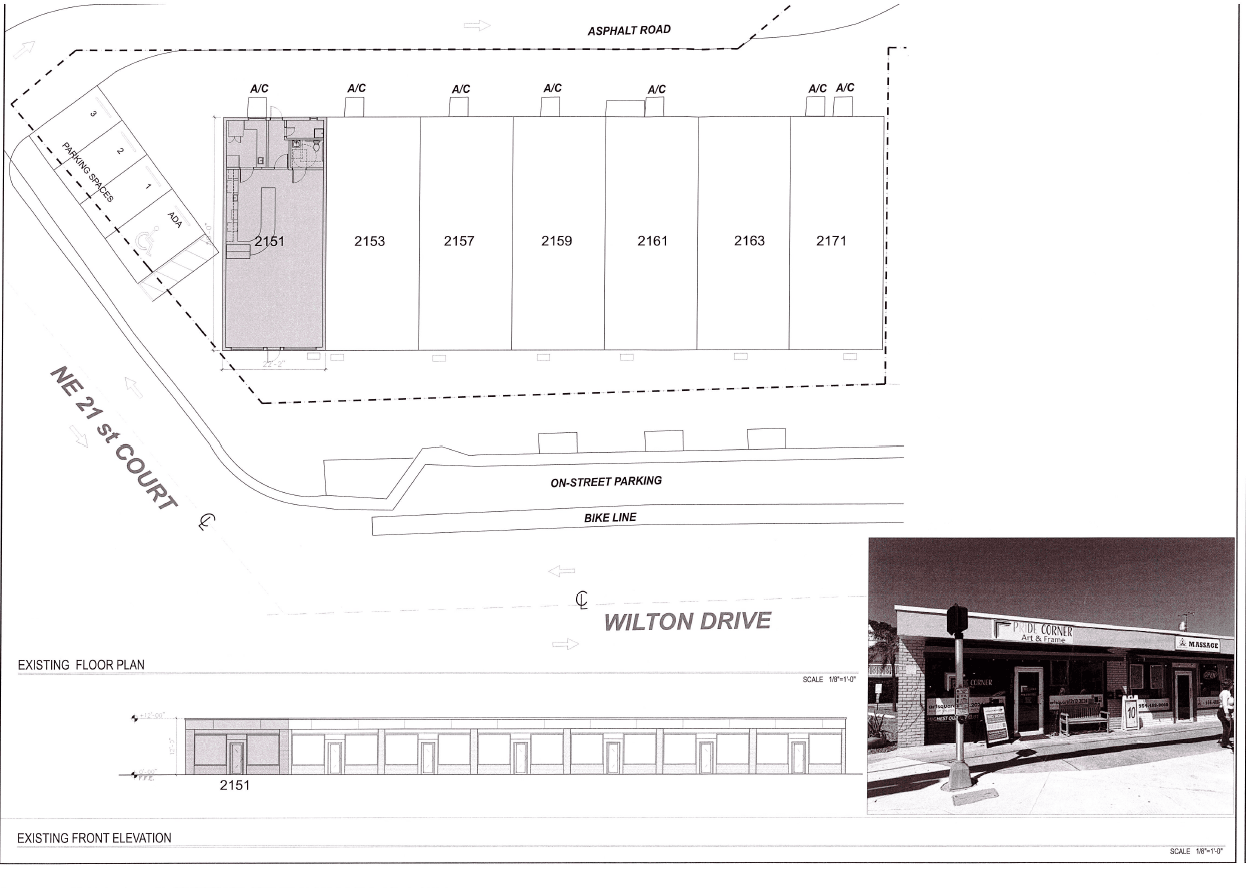
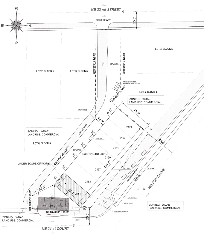
The proposed project consists of a new coffee shop to be located at 2151 Wilton Drive. The subject parcel is located between NE 22 Street and NE 21 Court on Wilton Drive. The project is known as “The Bean Espresso Bar”. This project will include a conditional use and site plan approval for the interior renovation of existing commercial space.
View plans for The Bean Espresso Bar.